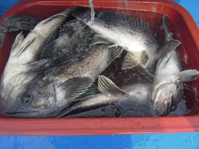
신흥호 3월27일 금요일 오후시간출조 조황 페이지 정보 작성자 새나루 댓글 0건 조회 13회 작성일 26-03-28 07:26 목록 본문 13시출조17시귀항 조황 좋아요.. 배낚시여행 유혹합니다.ㅎㅎ 등록된 이미지가 없습니다. 다음글3월14일 26 봄 시즌 첫 출조 조황.. 26.03.14 댓글 0 댓글목록 등록된 댓글이 없습니다.